Nežinau kaip jums, bet man asmeniškai feederinės žūklės pavadėlio storio (tiksliau būtų sakyti – plonio) limitas pasąmonėje visada buvo užsiciklinęs ties 0,1 mm padala. Tiesą pasakius, nelabai susimąstydavau, kodėl būtent ši riba buvo didysis Rubikonas ir kodėl jo peržengimas visada asocijuodavosi su kažkokios fobijos įveikimu (gal paprasčiausiai dėl to, kad tokių plonų valų anksčiau nebūdavo). Suprantama, prieš sukant negrįžtamų procesų link, neprošal būtų apvarstyti viso to prasmės klausimą, bet šįkart savęs šiomis kančiomis kažkodėl neapsukinau. Juoba pati mintis nusipirkti tokio pavadėlinio valo ir 18 nr Browning ultra light kabliukų gimė kone iš reikalo – tiesiog su Ričardu pritrūkom kelių eurų pirkiniui iš Lenkijos žūklės reikmenų parduotuvės, kad būtų nemokamas siuntimas (kaip neaiškus likimo ženklas turėjo būti ir tai, kad pusę tų kabliukų kurjeris kažkur išmėtė pakeliui). Žodžiu, tokia galėtų būti šio reportažo preliudija, o dabar prie reikalo…
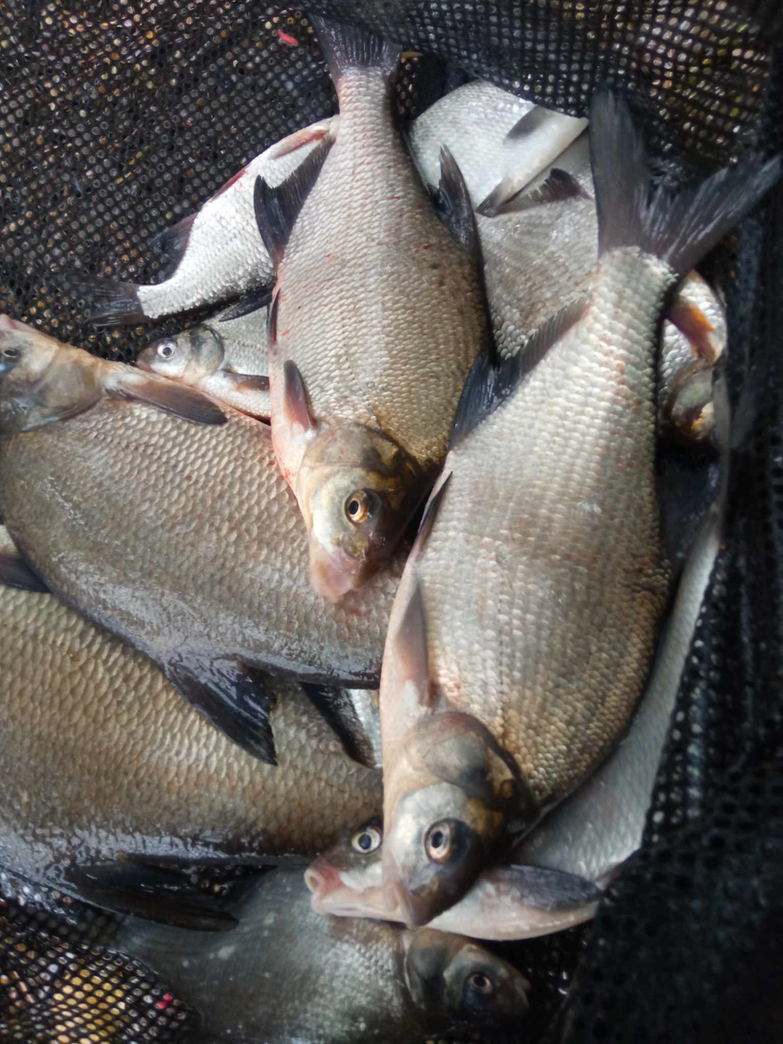
Žadintuvas 03:00, kiek galima tyliau išsiropščiu iš lovos, kad nepažadinčiau šeimynos, greitomis užkaičiu arbatinį, susimetu į automobilį visą likusią mantą ir po dvidešimties minučių išriedu iš kiemo. Iki saulės patekėjimo laiko daugiau nei sočiai, bet tenka ankstintis, kad būtų bent minimalus vietos pasirinkimas. Šįsyk ir vėl Darsūniškis – veiksmo ten ryte galima tikėtis daugiau nei kur kitur, o ir daiktų tįsti per kalnus nereikia. Gera valanda kelio ir apie pusę penkių pasuku į visiems gerai žinomą žvyrkelį palei marias. Mašinų vos viena kita – baisus vakarykštis oras veikiausiai nubaidė didžiąją dalį žvejų, o per naktį prie vandens liko tik patys ištvermingiausi. Tiesa, ryte vakarykščių oro negandų nė kvapo – vėjo nėra visai ir padorūs 7-8 laipsniai šilumos. Stabteliu ties žinomu ruožu ir lendu ieškoti laimingosios proskynos. Randu jaukų tarpelį tarp žolių, kur galiu įsikurti vienas ir žvejoti netrukdomas artimos kaimynystės. Vos tik spėjau „užsiinkaruoti“ savo vietoj, kai tarsi susitarusios viena po kitos pakrantės krūmynus pradeda apšviesti atvažiuojančių automobilių šviesos. Dar geras pusvalandis ir su vietomis išvis būtų buvę striuka. Turbūt čia tiktų posakis – kas ilgai miega, tas Kauno mariose nežvejoja. Priešingu atveju gali tekti ilgai klampoti pakrantėmis ar net susikibti dėl vietos su kuriuo nors iš konkurentų (kaip tik šįryt teko stebėti tokią sceną :D). Kadangi savo miego sąskaita šiuosyk tokių nesmagių reikalų išvengiau, galėjau ramiai ruoštis žvejybai. Prasiplaunu masalus, trečiąkart sudrėkinu jauką, prasijoju jį pro sietą, pastatau pastolius ir bandau apgraibomis skanuoti dugną. Dugno reljefas klasikinis – pačioj gelmėj priedumblis, o kopiant aukštyn prasideda tarka. Klipsuojuosi kiek už parandės minkštesnio dugno ruože. Smalsumo vejamas švysteliu į vandenį deeperio akį – žuvies nors vežimu vežk, vos telpa į telefono ekraną (iškart didesnis ūpas). Neskubėdamas ir trindamasis aplink savo daiktus galiausiai sulaukiu aušros. Žuvų pusryčių stalui paruošiau Champion Feed‘o asorti, pagardintą gyvųjų masalų ingredientais. Startuoju turbūt kokią pusę aštuonių (kai jau meškerės viršūnėlę buvo galima įžiūrėti). Antru metimu į krantą pasiprašo delninis plakis, tačiau jaučiu, kad tai atsitikinė žuvis, o ne pusryčių stalo klientai. Aktyviau reikalai pajudėjo kiek po devintos. Pasirodė pirmieji karšiukai, pakertu ir kažką rimtesnio, bet, deja, nerealizuoju (ta gražia proga beįsidirbąs taškas nurimo geram pusvalandžiui). Gaudau su 0,1 mm ir 16 nr kabliuku. Geriausiai veikia muslervės, nors vieną delninį karšiuką prikalbinu ir kuokšteliu trūklių. Pernelyg daug negalvodamas į kiekvieną kibimą atsakau papildoma porcija gyvų masalų (ar karpinių). Pasirodo ir pirmas įskaitinis egzempliorius (ta proga dar karpinių). Bet štai su kiekviena šėrykla pradedu justi, kad kibimas tampa įnoringesnis, vis sunkiau iš savo ramybės būsenos išjuda meškerės viršūnėlė. Atrodytų, įsišėrus taškui, veiksmas turėtų tik aktyvėti, bet yra priešingai – vienas kitą seka lėti ir nekertami meškerės patempimai. Būtent tada nusprendžiu išbandyti savo naująjį pavadėlinį valą ir pririšti mažiausią kada nors naudotą kabliuką. Bet efekto, galima sakyti, jokio. Tie patys neaiškūs pakrapštymai. Dar pakarpau sliekų, pridedu skandytų muslervių ar trūklių, bet niekas nieko. Pirma mintis, kad po rytinio kibimo žuvis tiesiog nustojo maitintis, todėl tapo įnoringesne (net 0,08 pavadėlis negelbsti). Paguoda ta, kad kaimynų vargai dar didesni. Nugirstu, kad vieni naktinėtojai per parą turėjo tik vieną kibimą (aš, kad ir kaip, bet po truputį judu pirmyn). Galiausiai sugalvoju pabandyti Steve‘o Ringer‘io rekomenduotą taktinę gudrybę – perkeliu savo klipsą gerus du metrus į priekį. Mintis ta, kad pernelyg gausiai įšertas taškas gali kiek baidyti žuvis, todėl ji gali sukaliotis aplink, bet į patį tašką neiti. Ir išties, – po trečio permetimo seka aštrus, su ataka kibimas (nieko panašaus į senolinį linktelėjimą), kurio autorius rimtesnis plakis. Dar vienas metimas ir vėl aštrus kibimas – karšis! Atrodytų, sunkiai suvokiama, bet išties žuvies aktyvumas visai kitas (nors perkėliau klipsą vos per kelis metrus). Galima būtų spėti, kad po aktyvesnių ryto valandų žuvis į tą patį tašką pradeda reaguoti kitaip (nors ir neatsitraukia iš ruožo). Apie šį pasikeitimą, manyčiau, išduoda minėtasis kibimo aštrumas. Kai jauko ir gyvų masalų taške daug, santykinė konkurencija yra mažesnė, todėl žuvis „ima žaisti su masalu“. Kas kita kai žuviai tenka konkuruoti dėl masalo – tada ir kibimas išraiškingesnis, ir pakirsti lengviau. Na ir galiausiai trumpai apie magiškąjį skaičių – 0,08. Paskutines dvi valandas gaudžiau tik šiuo pavadėliu. Nesakyčiau, kad jo efektas buvo didelis, bet traukti kad ir standartinį karšioką su tokiu pavadėliu jausmas geras. Maksimaliai atsuki ritės frikcioną ir visais įmanomais būdais stengiesi sugerti visus žuvies smūgius. Didžiausia ištraukta žuvis turbūt svėrė kiek virš kilogramo. Žodžiu, pabandžiau ir neišsigandau 😀 Norma sugaudyta, naujos taktikos išbandytos ir daug daug minčių apie žuvies elgsenos dėsningumus. Kitaip sakant, visi Rubikonai yra žvejojami – reikia tik band

